Andrews, M. 2026, What Are Those Weird Bumps on My Fruit Tree? Understanding Kuno Scale, UNR Extension

Spotted Something Strange on Your Fruit Tree This Spring?

This spring, you might have noticed small, round bumps clinging to the twigs or branches of your plum, pear or other stone fruit trees. Are they new growths? Lady beetle larvae? Even insects at all?

If you answered, “I’m not sure, but it’s really weird,” then you’re not alone. Those tiny, immobile bumps are most likely Kuno scale, a common soft scale insect that favors fruit trees, especially plums, and occasionally shows up on roses and walnuts as well.

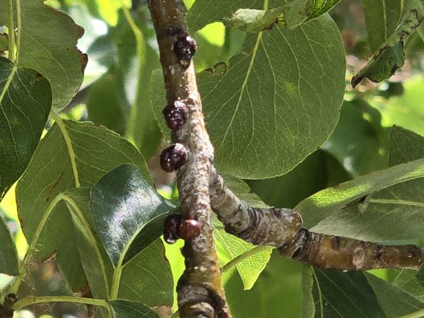
Kuno scales on a branch of a tree.

Photo: Wendy Hanson-Mazet UNR Extension

What is Kuno Scale?

Kuno scale is a soft scale insect. Unlike many insects, adult Kuno scales don’t look much like insects at all. They appear as small, rounded, shell-like bumps attached to the plant.

  • The visible round bumps are the adult scales.
  • Adult scales do not move.
  • Female scales can lay hundreds of eggs underneath their bodies, offering the eggs protection.

Kuno scales cover large portions of a fruit tree branch.

Photo: Wendy Hanson-Mazet UNR Extension

Understanding the Life Cycle

Knowing when Kuno scale is vulnerable is key to managing it effectively.

  1. Spring – Eggs hatch into tiny, mobile insects known as crawlers. This is the only life stage where Kuno scale moves.
  2. Summer – Crawlers settle on twigs and leaves and begin feeding by sucking phloem from the plant.
  3. Fall – The insects mature into immobile adults, ready to overwinter and repeat the cycle

Why Kuno Scale Can Be a Problem

In low numbers, Kuno scale may cause little noticeable harm. However, high populations can lead to several plant health issues:

  • Symptoms that resemble water stress
  • Premature leaf drop
  • Twig dieback
  • Production of honeydew, a sticky, sugar-rich substance

Honeydew stains on a sidewalk under a tree infested with Kuno scale.

Photo: Wendy Hanson-Mazet UNR Extension

Ant Problems? Look Up!

Ants and scales may go hand in hand

Ants are attracted to the honeydew that scales produce.Photo: David Cappaert, Bugwood.org

Honeydew often attracts ants and encourages the growth of sooty mold, a black fungal coating on leaves and branches. Sooty mold can reduce photosynthesis, weaken the plant, and stunt growth.

If you’re battling ants, your first step should be to check for honeydew-producing pests like scales, aphids, whiteflies, or leafhoppers. Control the honeydew source, and ant and mold issues often resolve on their own.

 

Management and Control Options

The most effective control strategies target Kuno scale at the right time and with good coverage of horticultural oils or insecticidal soaps.

Horticultural Oils

  • Dormant oils: Apply at bud break in late winter or early spring.
  • Summer oils: Target the crawler stage during warmer months.

Important tips for summer oil applications:

  • Ensure the tree is well watered beforehand
  • Do not apply when temperatures exceed 90°F
  • Choose a cloudy day with calm winds
  • Avoid applications if rain is expected
Hyperlink To More Information on Horticultural Oils

 

Insecticidal Soaps

Insecticidal soaps are another effective option, particularly against crawlers.

Coverage is critical: Both horticultural oils and insecticidal soaps work only when they directly contact the insect. Be sure to spray:

  • The undersides of leaves
  • Branches and twigs where scales attach

A Final (and Very Important) Reminder

Always read and follow the product label when applying any pesticide.

The label is the law.

Using products correctly protects your plants, beneficial insects, and you.

If you suspect Kuno scale on your trees and aren’t sure when or how to treat, your local Extension office can help you confirm the pest and choose the most effective, least disruptive control options. 

Hyperlink To CONTACT A MASTER GARDENER
 

Learn more about the author(s)

 

Also of Interest:

 
boer goat
Raising Meat Goats in Southern Nevada
An important outline of everything needed to raise meat goats in Southern Nevada, such as land, water, vehicles, equipment, breeding, etc.
Bishop, C. 2016, Extension, University of Nevada, Reno, FS-16-11
The Lean Farm Series
This book series offers guides to different scales of farming with their specifics. From micro-scale and urban growers, a field guide for market growers, to minimize waste, and increase and maximize efficiency and value.
Hartman, B. 2023, Clay Bottom Farm
Fuels Management at the Landscape Scale
Summary of workshop speaker presentations addressing "Overcoming Obstacles to Fuels Management at the Landscape Scale" and audience input about management policy regarding grazing management to reduce fuels loading, better fuels models, pinyon juniper encroachment, working at the...
Swanson, S. R., Gilgert, W. 2009, Rangelands/Society for Range Management and Allen Press, 31(3), 25-29.
Agritourism: Opportunity for Farm Diversification in Nevada
The majority of farmers choose agritourism enterprises to develop an additional source of income to their traditional agricultural practices. In turn, many small-scale farmers, due to economies of scale have been forced out of the industry completely or have found alternative sou...
Curtis, K. and Monson, J. 2005, University of Nevada Cooperative Extension
Nevada Rangeland Monitoring Handbook (3rd) || Appendix F - Scales in Monitoring
This fact sheet provides detailed information on scales in monitoring Nevada rangeland.
Swanson, S., Schultz, B., Novak-Echenique, P., Dyer, K., McCuin, G., Linebaugh, J., Perryman, P., Tueller, P., Jenkins, R., Scherrer, B., Vogel, T., Voth, D., Freese, M., Shane, R., McGowan, K. 2018, Extension | University of Nevada, Reno, SP-18-03